
![]() |
![]() |
Здравствуйте, Гость ( Авторизация | Регистрация )
![]() |
![]() |
![]() ![]() ![]() |
![]() |
![]() |
| genaikaNN |
May 31 2023, 12:51
Создана
#2001
|
|
Профи ![]() ![]() ![]() ![]() ![]() ![]() Группа: VIP Сообщений: 10,433 Зарегистрирован: 3-March 15 Из: Ниж.Новгород Пользователь №: 2,330,562 ![]() Пол: мужской Номер карты: 6390 ++++ ++++ ++++ 54 Репутация: 846 кг |
QUOTE(Barsoff @ May 31 2023, 07:13) да ловим на червяка, вчера у меня он закрнчился к пол-одинадцатого, а начал ловить в 8 примерно попробовал на опарыша - тоже клюет, но карась поменьше, или поменьше из-за того что было уже 11 утра и может крпный перестал клвать ( такое бывает ) в начале подкармливал распаренным геркулесом с небольшим добавлением сухого комбикорма уже перед кормлением и клев был волнами сидишь-ничего, потом бам-бамм-бам, штук 5-7 вытаскиваешь подряд, забросил-сразу клюет, потом минут 20 опять тишина и так все время такое впечатление что стая гуляет по какому-то своему маршруту, отойдет, подойдет и на неподвижный поплавок клевало гораздо хуже, надо все время поддергивать, сразу поклевка, поэтому на две удочки вообще неудобно ловить Я сейчас ловлю карася только на паренную перловку. (И лещ на кольцовки летом тоже иногда только перловку предпочитает) Попробуйте...На ночь засыпаю пару ложек перловки в термос и заливаю кипятком. Утром промываю холодной водой и пошёл на пруд...насаживаю по две штучки,прокалывая со стороны шкурки перловины.(на одну перловину мелкий карасик тилибонит и гольян) И да...карась покрупнее также клюёт...с подходами..видимо ходит стайкой. подёргивание кончиком удилища зачастую обязательный приём при вялом клёве. -------------------- старый ник*genaika*
рег.с 2009г..репа-240кг..если чё.. |
![]() |
![]() |
![]() |
![]() |
| Soltek |
May 31 2023, 13:19
Создана
#2002
|
|
Профи ![]() ![]() ![]() ![]() ![]() ![]() Группа: VIP Сообщений: 11,867 Зарегистрирован: 24-October 09 Пользователь №: 12,740 ![]() Пол: мужской Репутация: 1024 кг |
QUOTE(genaikaNN @ May 31 2023, 12:51) Я сейчас ловлю карася только на паренную перловку. Вот вот. Тоже этот продукт понравился. В том году отловился на "хорошо" и "отлично", используя варёную перловку. До этого практиковал манку. Она тоже хорошо идёт среди карасей. Но с ней мороки много. Правильно развести, намотать на крючок. Если рыба сорвалась, по новой манку "мотать" на крючок. Плюс ко всему пальцы левой руки все в манке как не старайся работать аккуратно. Да и одежда в засохшей манке. А с перловкой в разы проще. Тем более на одну перловку до 5 рыбин можно поймать, вытаскивая со рта каждый раз не проглоченный продукт. ![]() ![]() ![]() ![]() -------------------- Копая там, где ты копал, вопрос простой, -а ты там клал?
|
![]() |
![]() |
![]() |
![]() |
| Soltek |
May 31 2023, 14:28
Создана
#2003
|
|
Профи ![]() ![]() ![]() ![]() ![]() ![]() Группа: VIP Сообщений: 11,867 Зарегистрирован: 24-October 09 Пользователь №: 12,740 ![]() Пол: мужской Репутация: 1024 кг |
PS Фото с выше стоящего сообщения с архива.
-------------------- Копая там, где ты копал, вопрос простой, -а ты там клал?
|
![]() |
![]() |
![]() |
![]() |
| genaikaNN |
May 31 2023, 15:06
Создана
#2004
|
|
Профи ![]() ![]() ![]() ![]() ![]() ![]() Группа: VIP Сообщений: 10,433 Зарегистрирован: 3-March 15 Из: Ниж.Новгород Пользователь №: 2,330,562 ![]() Пол: мужской Номер карты: 6390 ++++ ++++ ++++ 54 Репутация: 846 кг |
QUOTE(Soltek @ May 31 2023, 13:19) Вот вот. Тоже этот продукт понравился. В том году отловился на "хорошо" и "отлично", используя варёную перловку. До этого практиковал манку. Она тоже хорошо идёт среди карасей. Но с ней мороки много. Правильно развести, намотать на крючок. Если рыба сорвалась, по новой манку "мотать" на крючок. Плюс ко всему пальцы левой руки все в манке как не старайся работать аккуратно. Да и одежда в засохшей манке. А с перловкой в разы проще. Тем более на одну перловку до 5 рыбин можно поймать, вытаскивая со рта каждый раз не проглоченный продукт. Манку тоже можно сготовить так,что она на сильном течении держится. Я на неё тоже леща на Волге,на приличном течении ловил.. Варю манку на слабом огне,в небольшом количестве воды,постоянно перемешивая. Потом даю остыть и на деревянной доске начинаю мять её с сыпучей манкой...добавляя сухую манку до необходимой жёскости.Можно очень жёсткую насадку сделать таким образом. Эта приманка ещё хороша тем,что шарик манки,насаженнный на крючёк*пылит* постепренно сухой манкой и как бы выполняет роль прикормки,от которой рыба не насыщается а аппетит у неё повышается... а ещё тем,что кусок этого теста можно разделить на несколько и помять с разными пахучими аттрактантами или с чесноком,укропом,анисовым или гвоздичным маслом... и прочим. -------------------- старый ник*genaika*
рег.с 2009г..репа-240кг..если чё.. |
![]() |
![]() |
![]() |
![]() |
| Barsoff |
Jun 1 2023, 00:18
Создана
#2005
|
|
Профи ![]() ![]() ![]() ![]() ![]() ![]() Группа: VIP Сообщений: 16,104 Зарегистрирован: 15-July 13 Пользователь №: 58,261 Пол: мужской Репутация: 1018 кг |
на перловку не пробовал, попробую обязательно
а вот что манку, что тесто надо замешивать с яйцом, можно без желтка белок дает клейкость, да и запах тоже а вот мой друг ловит карася с чесночницей рассказываю между крючком и грузм он надевает кусочек ушной палочки, там внутри есть дырочка, сверху еще кусочек навешивается поролона от посудомоечной губки в баночку выдавливается пара зубчиков чеснока чеснокадавилкой и добавляется нерафинированное ( ароматное ) подс масло уже на рыбалке макается эта самая чесночница в чесночно-масялнный раствор, на ключек - наживка и забрасывается чесночница привлекает своим запахом карася, но не мешает ему брать наживку, не стучит по лбу и не пугает у моего приятеля всегда и карась крупнее и поклевок больше конечно он не на каждого червяка макает чесночницу в раствор, периодически... -------------------- Хамство, неуважение к другим участникам форума, переход на личности повлекут отстранение участника.
|
![]() |
![]() |
![]() |
![]() |
| Soltek |
Jun 1 2023, 10:20
Создана
#2006
|
|
Профи ![]() ![]() ![]() ![]() ![]() ![]() Группа: VIP Сообщений: 11,867 Зарегистрирован: 24-October 09 Пользователь №: 12,740 ![]() Пол: мужской Репутация: 1024 кг |
QUOTE(Barsoff @ Jun 1 2023, 00:18) ...между крючком и грузом он надевает кусочек ушной палочки, там внутри есть дырочка, сверху еще кусочек навешивается поролона от посудомоечной губки... Интересный способ. Не слышал о таком. Возьмём на заметку. -------------------- Копая там, где ты копал, вопрос простой, -а ты там клал?
|
![]() |
![]() |
![]() |
![]() |
| Barsoff |
Jun 1 2023, 12:10
Создана
#2007
|
|
Профи ![]() ![]() ![]() ![]() ![]() ![]() Группа: VIP Сообщений: 16,104 Зарегистрирован: 15-July 13 Пользователь №: 58,261 Пол: мужской Репутация: 1018 кг |
QUOTE(Soltek @ Jun 1 2023, 10:20) Интересный способ. Не слышал о таком. Возьмём на заметку. сфотаю на днях, покажу сегодня клевало хорошо, лучше чем вчера, но все-таки похуже чем позавчера карасики такие, хорошенькие. калиброванные, пошли в бочку жить к собратьям -------------------- Хамство, неуважение к другим участникам форума, переход на личности повлекут отстранение участника.
|
![]() |
![]() |
![]() |
![]() |
| олегон |
Jun 1 2023, 12:12
Создана
#2008
|
|
Профи ![]() ![]() ![]() ![]() ![]() ![]() Группа: Посетители Сообщений: 8,974 Зарегистрирован: 6-October 08 Пользователь №: 5,955 ![]() Пол: мужской Репутация: 1232 кг |
-------------------- ,,На что я живу?Я живу чтобы жить,,
|
![]() |
![]() |
![]() |
![]() |
| айрус |
Jun 1 2023, 18:56
Создана
#2009
|
|
Профи ![]() ![]() ![]() ![]() ![]() ![]() Группа: Посетители Сообщений: 1,113 Зарегистрирован: 7-May 20 Пользователь №: 2,389,737 Пол: мужской Номер карты: 2202×××××6786 Репутация: 241 кг |
Barsoff и олегон С уловом вас
|
![]() |
![]() |
![]() |
![]() |
| Урман |
Jun 1 2023, 19:49
Создана
#2010
|
|
Профи ![]() ![]() ![]() ![]() ![]() ![]() Группа: Посетители Сообщений: 2,232 Зарегистрирован: 14-March 09 Из: Острава Кука Пользователь №: 8,535 Репутация: 270 кг |
QUOTE(айрус @ Jun 1 2023, 19:56) Barsoff и олегон С уловом вас Присоединяюсь! Гляжу, малой всех обрыбачил, коль ведро с карасем рядом с ним. |
![]() |
![]() |
![]() |
![]() |
| Изборянин |
Jun 1 2023, 20:39
Создана
#2011
|
|
Профи ![]() ![]() ![]() ![]() ![]() ![]() Группа: Продавцы Сообщений: 9,891 Зарегистрирован: 12-January 13 Пользователь №: 51,531 Металлоискатель: Eqvinoks 600 Пол: мужской Репутация: 2387 кг |
Barsoff, олегон Отличные фото, отличный улов. Мои поздравления
|
![]() |
![]() |
![]() |
![]() |
| Barsoff |
Jun 1 2023, 21:13
Создана
#2012
|
|
Профи ![]() ![]() ![]() ![]() ![]() ![]() Группа: VIP Сообщений: 16,104 Зарегистрирован: 15-July 13 Пользователь №: 58,261 Пол: мужской Репутация: 1018 кг |
ворпос к знатокам
ка правильно морозить карасей ? один мой друг после рыбалки их чистит и укладывает в пакеты по 10-20 штук, потом в морозилку другой мой друг говорит, что наоборот, чистить ничего не надо, морозить так как есть речную рыбы я как раз никогда не чищу, нри плотву, ни щуку, ни уклейку, даже по мере поступления доклываю прям с рыбалки размораживаю и чищу никаких побочных проблем не было Сообщение отредактировано Barsoff: Jun 1 2023, 21:14 -------------------- Хамство, неуважение к другим участникам форума, переход на личности повлекут отстранение участника.
|
![]() |
![]() |
![]() |
![]() |
| Изборянин |
Jun 2 2023, 08:24
Создана
#2013
|
|
Профи ![]() ![]() ![]() ![]() ![]() ![]() Группа: Продавцы Сообщений: 9,891 Зарегистрирован: 12-January 13 Пользователь №: 51,531 Металлоискатель: Eqvinoks 600 Пол: мужской Репутация: 2387 кг |
Не знаю, как и где, но у нас в Обозерье ( это на островах где ещё с древних времён живут поколения людей занимающиеся исключительно рыбным промыслом ) принято морозить рыбу неочищенную и не патрашённую ( говорят меньше теряет свои качества ) Я так-же делаю.
|
![]() |
![]() |
![]() |
![]() |
| Barsoff |
Jun 2 2023, 09:18
Создана
#2014
|
|
Профи ![]() ![]() ![]() ![]() ![]() ![]() Группа: VIP Сообщений: 16,104 Зарегистрирован: 15-July 13 Пользователь №: 58,261 Пол: мужской Репутация: 1018 кг |
QUOTE(Изборянин @ Jun 2 2023, 08:24) Не знаю, как и где, но у нас в Обозерье ( это на островах где ещё с древних времён живут поколения людей занимающиеся исключительно рыбным промыслом ) принято морозить рыбу неочищенную и не патрашённую ( говорят меньше теряет свои качества ) Я так-же делаю. спасибо вы, значит, подтвердили, правильность моих действий Ну, за рыбалку ! ![]() Сообщение отредактировано Barsoff: Jun 2 2023, 09:18 -------------------- Хамство, неуважение к другим участникам форума, переход на личности повлекут отстранение участника.
|
![]() |
![]() |
![]() |
![]() |
| айрус |
Jun 2 2023, 17:42
Создана
#2015
|
|
Профи ![]() ![]() ![]() ![]() ![]() ![]() Группа: Посетители Сообщений: 1,113 Зарегистрирован: 7-May 20 Пользователь №: 2,389,737 Пол: мужской Номер карты: 2202×××××6786 Репутация: 241 кг |
QUOTE(Barsoff @ Jun 1 2023, 21:13) ворпос к знатокам ка правильно морозить карасей ? один мой друг после рыбалки их чистит и укладывает в пакеты по 10-20 штук, потом в морозилку другой мой друг говорит, что наоборот, чистить ничего не надо, морозить так как есть речную рыбы я как раз никогда не чищу, нри плотву, ни щуку, ни уклейку, даже по мере поступления доклываю прям с рыбалки размораживаю и чищу никаких побочных проблем не было Понятно что каждый по своему делает. Я рыбу любую сначало чищу ,мою, потом замораживаю на две сковородки, только потом жарю. Заморозка убивает порозитов,а они в нашей рыбе есть. Это не из интернета, а всегда так делали. Ну на природе, уха или жарю на костре, конечно свежую Я жарил карасей этой весной,улов замороженный с прошлой весны, они оказались намного вкуснее чем свежие,намного |
![]() |
![]() |
![]() |
![]() |
| вьюга |
Jun 3 2023, 14:03
Создана
#2016
|
|
Старожил ![]() ![]() ![]() ![]() ![]() Группа: Посетители Сообщений: 721 Зарегистрирован: 13-February 21 Пользователь №: 2,395,037 Пол: мужской Репутация: 67 кг |
Barsoff и олегон!!!
Отличный улов, поздравляю! Ну, за рыбалку !!! Сообщение отредактировано вьюга: Jun 3 2023, 14:03 -------------------- прежний ник Fkduhi
https://www.reviewdetector.ru/index.php?showuser=36947 Репутация :49 |
![]() |
![]() |
![]() |
![]() |
| Урман |
Jun 3 2023, 22:49
Создана
#2017
|
|
Профи ![]() ![]() ![]() ![]() ![]() ![]() Группа: Посетители Сообщений: 2,232 Зарегистрирован: 14-March 09 Из: Острава Кука Пользователь №: 8,535 Репутация: 270 кг |
Всем здравия!
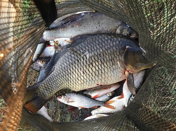
Давно собирался проверить одну протоку, чуть ниже водохранилища и вот сегодня, к вечеру, намаявшись от житейских дел, решил немного отдохнуть, на той самой протоке. С собой взял опарыш, навозного червя, сладкую кукурузу. С первых забросов понял, опарыша и червя можно убирать, вездесущая красноперка, живцового размера не давала даже крючку упасть на дно, с остервенением , раздербанивала насадку, как заклятого врага. Кукуруза немного улучшила ситуацию, но и ей тоже доставалось от злобных рыбешек, с кроваво-красными плавниками. Худо, бедно, но выяснилось, что в протоке есть и другая рыба, с более мирным характером. Это открытие порадовало, надо будет наведаться еще раз несколько. Наблюдал сегодня странную картину - напротив меня, через протоку, на частоколе тростника уселся малый пестрый дятел и давай долбить тростинку. Вложенные эскизы изображений |
![]() |
![]() |
![]() |
![]() |
| Soltek |
Jun 3 2023, 22:55
Создана
#2018
|
|
Профи ![]() ![]() ![]() ![]() ![]() ![]() Группа: VIP Сообщений: 11,867 Зарегистрирован: 24-October 09 Пользователь №: 12,740 ![]() Пол: мужской Репутация: 1024 кг |
QUOTE(Урман @ Jun 3 2023, 22:49) Всем здравия! Давно собирался проверить одну протоку, чуть ниже водохранилища и вот сегодня, к вечеру, намаявшись от житейских дел, решил немного отдохнуть, на той самой протоке. Наблюдал сегодня странную картину - напротив меня, через протоку, на частоколе тростника уселся малый пестрый дятел и давай долбить тростинку. ![]() Приветствую. Отличный выход и отчёт. Не зря был проведён день. А по дятлу - в тростнике и для рыбы 100% есть вкусняшки. Смотрел один ролик , там блогер рыбак в тростнике находил букашек на которые потом и ловил... -------------------- Копая там, где ты копал, вопрос простой, -а ты там клал?
|
![]() |
![]() |
![]() |
![]() |
| Barsoff |
Jun 3 2023, 23:56
Создана
#2019
|
|
Профи ![]() ![]() ![]() ![]() ![]() ![]() Группа: VIP Сообщений: 16,104 Зарегистрирован: 15-July 13 Пользователь №: 58,261 Пол: мужской Репутация: 1018 кг |
насчет тростинок не знаю
у нас ловят на таких жучков, которые живут в водяных полых травинках, да и вообще под водой, на камнях всяких или корягах шитики называются или ручейниками скорее всего птица и добывала шитиков, с тех растений которые чуть ранее были под водой, а сейчас торчат наружу -------------------- Хамство, неуважение к другим участникам форума, переход на личности повлекут отстранение участника.
|
![]() |
![]() |
![]() |
![]() |
| айрус |
Jun 4 2023, 09:38
Создана
#2020
|
|
Профи ![]() ![]() ![]() ![]() ![]() ![]() Группа: Посетители Сообщений: 1,113 Зарегистрирован: 7-May 20 Пользователь №: 2,389,737 Пол: мужской Номер карты: 2202×××××6786 Репутация: 241 кг |
Урман хороший улов
за мной! |
![]() |
![]() |
![]() ![]() ![]() |
| Упрощенная Версия · Рекламодателям | Сейчас: 20th December 2025 - 03:46 | |
![]() |